Furacão é confirmado como o mais intenso da história do Atlântico
Furacão Melissa, que devastou a Jamaica, é confirmado como o mais intenso da história do Atlântico em relatório final da NOAA

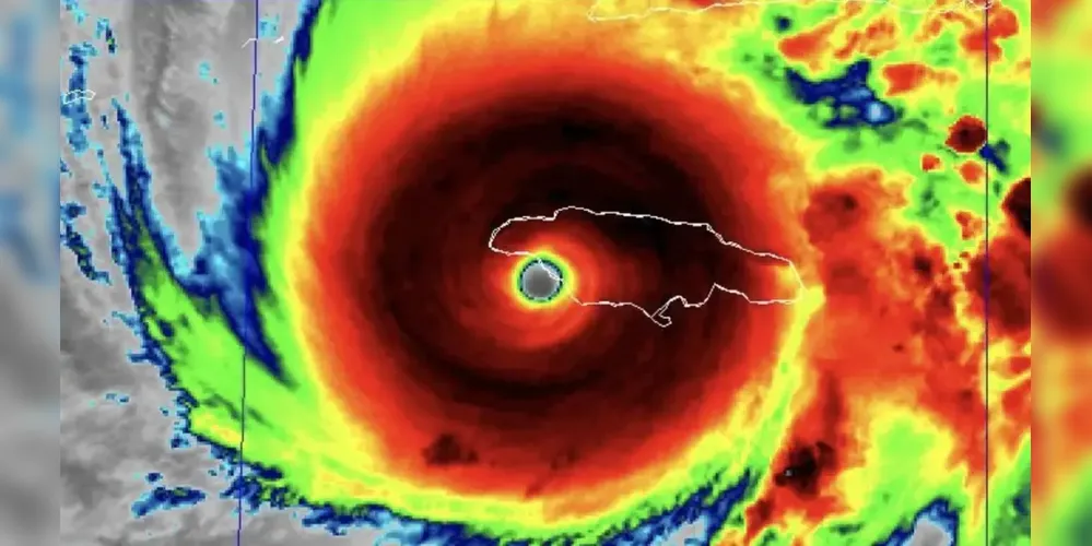
O furacão Melissa entrou para a história e passa a figurar na estatística como o mais intensa já registrado no Oceano Atlântico, mostra o relatório final da tempestade que foi publicado hoje pelo Centro Nacional de Furacões dos Estados Unidos (NHC).
Segundo o relatório oficial do NHC, o sistema atingiu ventos máximos sustentados de 190 mph (cerca de 305 km/h), empatando como o mais forte já observado na bacia atlântica em termos de vento sustentado. Agora, no topo do ranking, aparecem Allen, em 1980, e Melissa, em 2025, ambos com ventos máximos sustentados de 306 km/h, marca que os coloca entre os ciclones mais potentes já observados na bacia.
Logo atrás estão Furacão do Dia do Trabalho (1935), Gilbert (1988), Wilma (2005) e Dorian (2019), todos com picos de 298 km/h. Melissa alcançou o pico de intensidade em 28 de outubro de 2025, quando estava a cerca de 65 quilômetros ao sul-sudoeste da Jamaica.
Pouco depois, tocou terra na ilha como um furacão Categoria 5 com ventos de 185 mph (aproximadamente 298 km/h), estabelecendo o recorde no país. Já os ventos no momento do impacto em terra igualaram marcas históricas associadas a eventos como Dorian e o Labor Day Hurricane, dois dos ciclones mais violentos já registrados no Atlântico.
A pressão mínima central caiu para 892 milibares, empatando com o furacão de 1935 como a terceira menor já medida na região. A intensidade foi confirmada por dados de reconhecimento aéreo, imagens de satélite e medições realizadas por aviões caçadores de tempestades da National Oceanic and Atmospheric Administration (NOAA) e da Reserva da Força Aérea dos Estados Unidos. Durante uma das missões, uma sonda registrou uma rajada instantânea de 252 mph (406 km/h), a mais forte já medida por esse tipo de instrumento em qualquer ciclone tropical no mundo.
O recorde anterior pertencia ao Typhoon Megi, que havia alcançado 382 km/h em 2010. A força extrema se traduziu em destruição generalizada no Caribe. A maré de tempestade elevou o nível do mar entre 2,1 e 3,3 metros na costa sudoeste da Jamaica.
A chuva superou 890 milímetros no sul do Haiti e passou de 800 milímetros em áreas montanhosas jamaicanas, provocando enchentes catastróficas e deslizamentos. O balanço final apontou ao menos 95 mortes na região, sendo 45 na Jamaica e 43 no Haiti. Os prejuízos econômicos apenas na Jamaica foram estimados em US$ 8,8 bilhões, o equivalente a 41% do PIB nacional.





















